ALYAN Inmobiliaria

  • 5512893921
  • alyan-inmobiliaria.easybroker.com

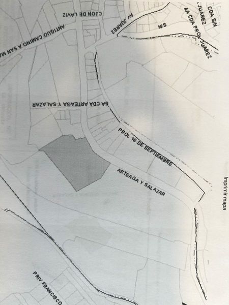
TERRENO EN VENTA EN CONTADERO 8,983M2

Contadero, Cuajimalpa de Morelos

$105,000,000 For Sale

  • 8,982.9 m² Lot Size
  • 95 m Lot Length
  • 82 m Lot Width
  • EB-KP9939 ID
Description

ATENCIÓN DESARROLLADORES, Espectacular terreno con frente de 82 metros sobre Arteaga y Salazar, con muy bonita vista, y con pendiente descendente, lo que permite construir departamentos en la zona posterior del terreno. El uso de suelo es H2/75%/5,060 m2/51 viviendas.
Son 5 predios, colindantes, sin fusionar aún. se pueden vender 3 juntos (C+D+E) y 2 juntos (A+B):

A)2,060.7M2 PREDIAL 05606408
B)1,853.6M2 PREDIAL 05606435
C)1,963.5M2 PREDIAL 05606434
D)1,862.7M2 PREDIAL 05606433
E) 1,242.2M2 PREDIAL 05606432

Precio por M2 = $11,700

**El precio NO incluye: impuestos, gastos notariales, derechos, honorarios, costos de tasas de interés y ni gastos en caso de financiamiento. Tampoco incluye mobiliario, artículos decorativos, ni electrodomésticos. **

ALYAN Inmobiliaria

  • 5512893921
  • alyan-inmobiliaria.easybroker.com

ALYAN Inmobiliaria

  • 5512893921
  • alyan-inmobiliaria.easybroker.com